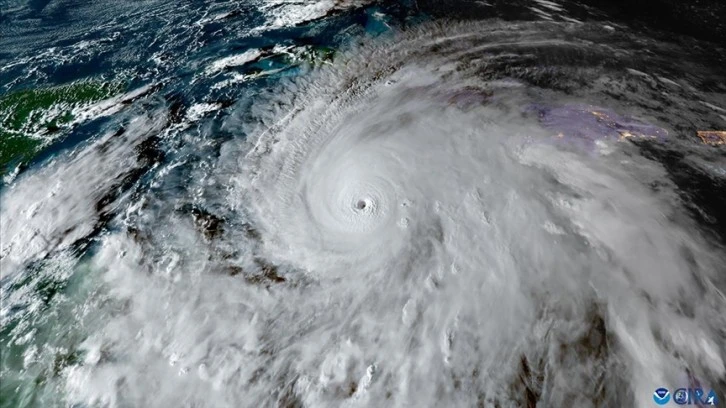
The Guardian gazetesinin haberine göre, hızı saatte 295 kilometreye kadar çıkan Melissa Kasırgası, şiddetli yağış, fırtına ve sellere yol açarak Karayipler'de etkisini göstermeye devam ediyor.
Karayipler'in en yoğun nüfuslu ülkelerinden biri olan Haiti'de Sivil Savunma Kurumu, söz konusu kasırga nedeniyle 30 kişinin hayatını kaybettiğini, 20 kişinin yaralandığını ve 20 kişinin de kayıp olduğunu bildirdi.
Kasırganın etkili olduğu diğer bir ülke Jamaika'da da Eğitim, Gençlik ve Enformasyon Bakanı Dana Morris Dixon, daha önce 4 olan ölü sayısının 19'a yükseldiğini açıkladı.
Arama-kurtarma çalışmalarının sürdüğü Jamaika'da, başkent Kingston'daki ana uluslararası havalimanı, yardım malzemeleri taşıyan uçakların inişi için yeniden kullanıma açıldı.
Ölü sayısının en son 29 olduğu Karayipler bölgesinde 20 kişinin daha kasırga sebebiyle hayatını kaybetmesiyle toplam sayı 49'a yükseldi.
Fırtına yaklaşırken yaklaşık 735 bin kişinin tahliye edildiği Küba'da ise ölü sayısı bildirilmedi.
- Melissa Kasırgası, Karayipler'de etkili olmuştu
Şiddetinin en tehlikeli seviye "5. kategori"ye yükseldiği belirtilen Melissa Kasırgası, Haiti, Jamaika ve Küba'da etkili olmuştu.
Şiddetli yağış, fırtına ve sellere yol açan kasırga nedeniyle Küba Devlet Başkanı Miguel Diaz Canel, ülkede 735 binden fazla kişinin tahliye edildiğini bildirmişti.
Haiti'nin güneyinde, Melissa Kasırgası'nın yol açtığı sel nedeniyle nehrin taşması sonucu 25 kişi yaşamını yitirmişti.
ABD, kasırganın yol açtığı yıkımla mücadele kapsamında Karayip ülkelerine arama kurtarma ekipleri dahil afet yardım görevlileri gönderildiğini bildirmişti.
